Fantasy 9-night July 2022 - A Southern Caribbean Adventure!

anricat

DIS Veteran
Joined
Feb 20, 2014
Messages
4,153
Introduction

We’re going on another cruise! (“But, you just cruised last month!”) We have a lot of cruise credit from pandemic cancellations and Roger has a bunch of “use it or lose it” vacation time banked up. So off we go again.

When summer 2022 booking originally came out, we felt like the world would hopefully be back to normal and we booked Greece again for 2022 (for the third time after 2020 and 2021 cancellations). But just in case, we also booked a Fantasy 9-night Southern Caribbean. We really like the Southern itineraries and we figured this would be a good use of our credit if we didn’t feel like we were ready for international travel.

As the date drew near for us to start making plans, it became pretty clear that while DCL wasn’t going to cancel the European itineraries, we didn’t feel ready to travel to Europe. We didn’t want to potentially travel all the way to Europe only to test positive and not be able to get on the ship. That’s a long flight to possibly not sail and then quarantine in Europe. At least sailing out of Florida, it would be cheaper and less stressful to navigate Covid domestically. At the worst, we could rent a car and get ourselves home. So we canceled Greece for the third time.

It’s all good. We were more than happy with this backup plan. We had done two Southerns previously and loved them and this looked like a great itinerary on a ship we had never been on before.

The cast of characters:
Summer - that’s me!
Roger - my husband
Emmaline - my daughter, just turned 14

Off we go!
 
Wednesday July 20 - Travel to Orlando and Thursday July 21 - Embarkation Day

We have been pretty lucky with regards to airline travel of late, in spite of everything being a complete mess. Our luck ran out. Before we arrived at the airport, we were delayed an hour. Upon arriving, we were delayed another hour. Then we were delayed again. There were a bunch of factors, some weather and some seemed to be Southwest issues. They were very apologetic. Ultimately we left a little over two hours late so it was 10 PM when we arrived. Thankfully, we were booked at the Hyatt in the airport, so after getting our luggage we went right up to the room and got ourselves to bed.

We woke up on Thursday around 7:15 because we needed to have all our luggage ready for pickup by 8 AM. Roger ran down and grabbed some fast food breakfast from the food court and we ate in the room and got ready. The piece of paper we got in our room said to meet down in the lobby of the Hyatt at 8:50 for a 9:20 departure so we did that and the place was absolutely MOBBED. The first bus departed around 9 AM. We ended up being on the fifth bus at around 10:15 or so. I figured we either waited there or in the terminal building at the port so it really wasn’t that big of a deal. When we arrived at the lobby, we ran into a DCL CM that we had met on our June cruise. She helps coordinate bus transportation and last time she was actually working, then hopped on the bus at Saratoga to join her daughter and granddaughter for the sailing. We all chatted on the way to the port. Well, just by chance, she was at the Hyatt and it was so fun to see her again. She told us that there were 3200 passengers on the Fantasy for this sailing, but it would probably be close to 3000 that would actually board.

She saw Emmaline’s ankle brace and when it was time for our bus to depart, she put us with the concierge folks so Emmaline could have a little extra time getting to the bus. About four weeks ago, Emmaline stepped wrong coming down the stairs (on the day of her birthday party) and rolled her ankle and fractured it. I was concerned about how this would impact our trip, and indeed, we ended up having to cancel one excursion and rebook something else, but for the most part, it turned out okay. By the time we left for the vacation, Emmaline was out of her boot (they didn’t put her in a cast) and was in the ankle brace.

The trip to port took about an hour and we arrived around 11:15. There was a pretty long check in line and Emmaline ran into one of the friends she had been texting with prior to the cruise while we were waiting (and it turned out we were on another sailing with them a few years ago but never actually met). After we checked in and went through security (about 30 min), we thought they might be boarding, but they didn’t board until around 11:45. Then there was a super long time between groups 3 and 4. Finally around 12:20, our group (5) was called to board.

We went straight to Cabana’s to have lunch, then after that we were trying to figure out if we wanted to get wet or just do something else so while we pondered that, we took care of our muster check in. They said rooms wouldn’t be ready until 2:30, which seemed sort of late and was going to be right at the time of the Facebook group meet and greet. I don’t think anyone anticipated such a late room ready time. We decided to go ahead and take a couple of rides on the Aquaduck since we weren’t sure what else we would do. I had wanted to have a shower before the meet and greet, but rooms weren’t ready so we had some ice cream and hung around. At 2:25 I went down to check and the room was ready so I dropped off our carryon items and then went back to the pool deck for the meet and greet. Nobody was there. Finally around 3, people started to show up. After that, we went back to the room and cleaned up and did a little unpacking. Emmaline went to the sail away party at 4:30, but we still weren’t unpacked so Roger and I skipped it.

At 5:00 Roger and I went to have a snack up on the pool deck before heading back to the room to regroup with Emmaline. Then Emmaline and I delivered some of our Fish Extender gifts before going to the show that night. The show was Taylor Mason who did a comedy ventriloquy act. His act was pretty funny at times, but also lagged a little bit. It could have been tightened up/edited and about 15 minutes shorter and it would have been perfect.

After the show Emmaline went to Edge (the tween club) and Roger and went back to the room to relax a little bit before dinner at 8:15. Our first meal was in Animator’s Palate with the “Let the Magic Begin” menu and we found that our request had worked and we were with our server we had twice before on the Magic, Jay from Jamaica. After dinner, Emmaline went to Vibe (the teen club - at 14, she can go to both the tween and teen clubs) and then went to karaoke. Roger and I went to bed!

IMG_6517.jpeg
 
Last edited:
Friday July 22 - Sea Day

I woke up at 6:30 and quietly changed into my running clothes (I had laid them out in the bathroom the night before). I slipped out and went for a run on deck 4. It was a beautiful sunny morning and deck 4 was hopping. It was probably the most people I’ve ever seen up on deck 4 in the morning. I couldn’t believe it. I probably saw 50+ different people walking and running up there in the 45 min or so that I was up there. It made me think of a recent thread on the DIS about the Wish not having a continuous running track. There were quite a few people on the thread who seemed to indicate it didn’t matter much because it really wasn’t used by that many people. I guess they have never been on a 9-night with 3 sea days because it was crazy.

After that, I made my way up to deck 11 for a quick snack while I waited for Roger and Emmaline to wake up. Once they were up, I went back to the room to meet up with them and we all went up to breakfast at Cabanas. After breakfast, we all went back to the room and cleaned up for the day. While I showered and got ready, Emmaline watched ads on the TV for Adventures By Disney and dreamed of all the places she wants to go on vacation next. Meanwhile our wallets cried from inside the safe.

Then Roger went for a walk on deck 4 (he said it was still nuts and this was at 10 AM) while Emmaline and I delivered more of our FE gifts. At 11 we had to make a choice: Facebook group ice cream social or DVC Member celebration in D Lounge. None of us were super hungry for ice cream at 11 AM so we went to the Member event. It was packed. I was so surprised! I think it was the free drinks (which we skipped). They played a sort of silly Family Feud style game show and then Captain Minnie came out. It was done at 11:30 and on our way out of there we ran into Thor so we took a quick photo and decided to go see if the ice cream social was still going on. It was so we had a little bit of ice cream with all the crazy toppings people had brought. It was fun and a cute idea, but the timing was off. Again. It’s so hard to plan activities on land when you don’t know what the schedule will be once onboard.

IMG_6533.jpeg

At noon we hung out for a few minutes up on deck 11 because they said they were going to be playing a bunch of the ship horns, so we waited for that. After the horns, we went to Cabana’s for lunch. After lunch we split up again and Emmaline went to Vibe while Roger and I went to O’Gills and did origami, which was listed as adult only (as a lot of activities in O’Gills were) but there were definitely kids there so I have no idea what was up with that. After we finished the super easy origami, we returned to the room and had a bit of a rest. We accidentally rested way longer than we anticipated and after that needed some caffeine so we made our way to Cove Cafe for a little afternoon pick me up. We relaxed there for a while and had a snack as well until it was time for Pixar Trivia where Emmaline met up with us. As with all the trivias it was super specific and weird stuff and we did terrible but it was fun anyway. After the trivia, we returned to the room to reorganize ourselves and start to get ready for the evening and formal night. The show that night was Aladdin which we really enjoyed (never having seen it before since this was our first time on the Fantasy).

IMG_6546.jpeg

After the show, we returned to the room quickly to finish getting ready before taking some photos in our formal outfits. Dinner was after that in Enchanted Garden and we had the standard rotational menu. After dinner Emmaline went to Vibe and then karaoke and then Edge while Roger and I attended the adult magic show with Eric Jones in The Tube. It was a good show and I was looking forward to his performance in the main theatre the next day.

2022-07-22 - Disney Fantasy - Disney Fantasy.jpeg
 
Can't wait to read this! We're going back on the Fantasy at the end of this month and I really want to do one of the Southern itineraries one day. You have a lovely family!
 

Saturday July 23 - Sea Day

I woke up at 6:15 AM and felt like I should sleep in or something because vacation. So I went back to sleep and woke up an hour later. I got up and quietly donned my running costume and went up to deck 4 where it was once again absolutely packed with people. I didn’t feel like only running so I made myself a little workout. One lap of run, then ten pushups, ten squats, ten dips (there was a little bench I stopped near) and ten lunges, then back to the run which I did as sprint on the port side, easy on the starboard side. I did this whole circuit five times total after a warmup lap and then finished with a cool down lap.

Ordinarily, in the beforetimes, I would have gone to the gym, but we were trying to limit unmasked time inside to ensure we would stay healthy the whole cruise so I didn’t want to do that. And on this morning, I was so glad I was outside because as I was turning around to the bench to start my dips, there, in front of me was a huge rainbow. My dips and lunges completely forgotten I stood there and admired it, then pulled out my phone for a few photos. A lady turned to see what I was staring at and did a double take and pulled hers out, then a few more people pulled up and marveled. Then we were all off again and when I came around for the next lap, it was gone. Just that one perfect moment with the sun and sea spray and then gone.


I grabbed a quick snack on deck 11 and then went back to the room to shower. I showered and Roger went up for a run then when he returned we all went up for breakfast. After breakfast at Cabanas we regrouped in the room and before setting out on the first of the Photo Challenge Scavenger Hunt worksheets. We picked one up every day at the Port Adventures desk and they had little photos of different things we needed to find around the ship. We ultimately did 7 worksheets and they were a different theme each day. We had pictures, carpets, signs, doors, lights, statues, and crew uniforms. It was a lot of fun!



Then it was time for something we’ve never done (and hasn’t been done on this ship since sailings resumed after the pandemic) - the Gold and Platinum Castaway Member celebration. At 11 we went to the Walt Disney Theatre (free drinks for those that wanted them and they showed us a scene from Aladdin from the night before. Then after that, they put up all the lights and did the scene again showing all the behind the scenes stuff that goes on to make the scene happen. Then after that we were able to ask the technical crew (lights, sounds, costumes, etc.) questions. It was so cool and one of the highlights of the sailing for me for sure!

We did a little more work on our scavenger hunt before lunch since we weren’t super hungry yet. Then we had lunch at Cabana’s and Emmaline went off to Edge and Roger and I worked on the scavenger hunt. Then we loaded up our popcorn bucket and went to the Walt Disney Theatre to watch Lightyear. It was cute, not amazing, but fun. After the movie, we finished off the scavenger hunt pictures, met up with Hook along the way (he was roaming the ship a lot during the cruise). Then it was time for more trivia. We did both Marvel and Villains quotes. We did pretty good at Marvel trivia actually. We didn’t win (the winners only missed one question, which sort of boggles my mind). Then it was time for snacks. (It’s always time for snacks on a cruise ship…) At 6:15 we went to Eric Jones’ show in the Walt Disney Theatre, which I enjoyed more than his adult only show. We went back to the room where Emmaline did some of her physical therapy exercises. She gets bonus points on the balance exercises for doing them on a moving vessel. I worked on my trip report notes a little bit and then we went to dinner in Royal Court. It was a standard rotational menu on this night. One of our favorites. After that we did a little shopping in the shops before going to bed.
 
Last edited:
Sunday July 24 - St. Maarten

It is time for our first port of call! We had actually been to St. Maarten previously, but we did the underwater sea trek helmet dive so we didn’t really see any of the island, just the bottom of a little piece of ocean. This time we had plans to see the island with a buggy rental. The ship was cleared at 9:30 and we left shortly thereafter and found the guy that would be renting us our buggy. The rental process took a little bit of time, but we got rolling around 10:00. He gave us a map and we also had our phones loaded up with offline Google maps and we were pretty successful.

img_5025-jpeg.690143.jpg

We only made two wrong turns, but realized it right away and course corrected quickly. We stopped at a couple of scenic spots and a couple of them we were unable to stop because of lack of parking, which was annoying.

img_6579-jpeg.690145.jpg

Around lunchtime we arrived in the area of Maho beach where we parked the buggy (for $5). This is the beach where the planes land right over your head. We weren’t there for any of the giant ones, but we did see some smaller ones come in and it’s pretty crazy how close they get. The beach itself is tiny. We ate lunch at a cute little vegan restaurant there and it was delicious.

img_6594-jpeg.690144.jpg

After lunch we hopped back in our buggy and again struggled with parking. Finally back in Phillipsburg, we found a place to park so we could check out the Yoda Guy museum which we found to be a bit overpriced so we didn’t actually go in the museum portion.

img_6598-jpeg.690146.jpg

All in all, we enjoyed seeing the island a bit but it wasn’t as much fun as the Curaçao buggy ride we did. In Curaçao it really made a big difference having some off-road adventures and having the guide take us to different places and pointing out things of interest to us. And the rental in St. Maarten was comparable to the rental price in Curaçao but without the guide so I would say it was a little expensive. Also, we only drove on regular roads, so honestly, we didn’t need an off-road buggy. We would have preferred a regular car with AC and less noise and wind.

We returned the buggy and were back onboard around 3:00 in the afternoon. We were all a little windblown and sweaty so we took turns taking the shower while we waited for some room service (All Hands on Deck, fruit, and three chocolate chip cookies). After that, Emmaline wanted to go to karaoke and I said I would accompany her. Roger was uninterested so he took a walk. I sang “Spoonful of Sugar” and was offered a job onboard on the entertainment team after my performance.

At 6:15 we went to the show for the evening in the Walt Disney Theatre which was Buckets N Boards. They were a lot of fun and reminded me of Junnk (but I might like Junnk a little better). After the show, Emmaline wanted to meet Stitch so we did that greet and then checked out our photos from the night before in Shutters. We had one that looked good of the three of us so we made note of it to purchase later. On our earlier cruises we bought the photo package, but nowadays we usually just purchase one or two we really like. Before dinner, we did a little bit of shopping.

After shopping, dinner that evening was in Animator’s Palate and it was the rotational menu (black truffle pasta pursettes!) with the Crush show. We really prefer the show on the Classics. The Crush thing is gimmicky and we don’t really find it to be particularly entertaining. We were tired from our windblown day so we went to bed straight away. (After running into Stitch in the hallway on the way to our room.)

IMG_5484.jpeg
 
Last edited:
Sunday July 24 - St. Maarten

It is time for our first port of call! We had actually been to St. Maarten previously, but we did the underwater sea trek helmet dive so we didn’t really see any of the island, just the bottom of a little piece of ocean. This time we had plans to see the island with a buggy rental. The ship was cleared at 9:30 and we left shortly thereafter and found the guy that would be renting us our buggy. The rental process took a little bit of time, but we got rolling around 10:00. He gave us a map and we also had our phones loaded up with offline Google maps and we were pretty successful.

View attachment 690420

We only made two wrong turns, but realized it right away and course corrected quickly. We stopped at a couple of scenic spots and a couple of them we were unable to stop because of lack of parking, which was annoying.

View attachment 690422

Around lunchtime we arrived in the area of Maho beach where we parked the buggy (for $5). This is the beach where the planes land right over your head. We weren’t there for any of the giant ones, but we did see some smaller ones come in and it’s pretty crazy how close they get. The beach itself is tiny. We ate lunch at a cute little vegan restaurant there and it was delicious.

View attachment 690421

After lunch we hopped back in our buggy and again struggled with parking. Finally back in Phillipsburg, we found a place to park so we could check out the Yoda Guy museum which we found to be a bit overpriced so we didn’t actually go in the museum portion.

View attachment 690423

All in all, we enjoyed seeing the island a bit but it wasn’t as much fun as the Curaçao buggy ride we did. In Curaçao it really made a big difference having some off-road adventures and having the guide take us to different places and pointing out things of interest to us. And the rental in St. Maarten was comparable to the rental price in Curaçao but without the guide so I would say it was a little expensive. Also, we only drove on regular roads, so honestly, we didn’t need an off-road buggy. We would have preferred a regular car with AC and less noise and wind.

We returned the buggy and were back onboard around 3:00 in the afternoon. We were all a little windblown and sweaty so we took turns taking the shower while we waited for some room service (All Hands on Deck, fruit, and three chocolate chip cookies). After that, Emmaline wanted to go to karaoke and I said I would accompany her. Roger was uninterested so he took a walk. I sang “Spoonful of Sugar” and was offered a job onboard on the entertainment team after my performance.

At 6:15 we went to the show for the evening in the Walt Disney Theatre which was Buckets N Boards. They were a lot of fun and reminded me of Junnk (but I might like Junnk a little better). After the show, Emmaline wanted to meet Stitch so we did that greet and then checked out our photos from the night before in Shutters. We had one that looked good of the three of us so we made note of it to purchase later. On our earlier cruises we bought the photo package, but nowadays we usually just purchase one or two we really like. Before dinner, we did a little bit of shopping.

After shopping, dinner that evening was in Animator’s Palate and it was the rotational menu (black truffle pasta pursettes!) with the Crush show. We really prefer the show on the Classics. The Crush thing is gimmicky and we don’t really find it to be particularly entertaining. We were tired from our windblown day so we went to bed straight away. (After running into Stitch in the hallway on the way to our room.)

View attachment 690424
Black truffle pasta pursettes is one of our favorite dishes on the ships! We ate it three different times on this sailing! We also had deep fried Brie more than one night also!
 
Monday July 25 - Dominica

Strap in, I took a lot of photos in Dominica! We were all excited for Dominica. It was the first time for DCL in this port and nobody was really sure what to expect. We had originally booked a canyoning (repelling down waterfalls) tour. We did something similar in Costa Rica (before Emmaline was born) and it was pretty amazing. But then Emmaline broke her ankle 4 weeks before the cruise so we scrapped that idea. By then, all the DCL excursions were full (though we don’t normally do ship-sponsored tours) and all of the private companies I could find reviews for on Trip Advisor were completely booked up. So I was Googling and I found a little taxi and tour service with no reviews on Google or Trip Advisor and one little review blurb on their website. But they had a tour that looked good that we could customize to do what we wanted and I emailed them and had a good vibe so we took a chance. This is unlike me. I like well-vetted companies or guides with lots of 5-star reviews. But everyone starts somewhere, right? So we went for it.

The day dawned grey and rainy and we weren’t certain how that would play out. DCL gave us ponchos as we disembarked and as we put them on and got off the ship the rain stopped. Figures. Off the ponchos came and the rain mostly stayed away - we did have a few little bits of rain off and on throughout the day, but nothing major and certainly nothing that caused us any grief. A rainy day on vacation is better than a sunny day in the office, right?


We found our guide, Jean-Marie, very easily. We loaded into his van and off we went. He pointed out different things of interest here and there and stopped a couple of times to show us some interesting plants like lemongrass and cinnamon—the leaves, when crushed up, smell like cinnamon, but actual cinnamon you might buy in the store is the bark scraped off the tree.

After about a 45 minute drive, we arrived at our first destination, Emerald Pool. It was quite beautiful and reminded me a bit of Hamilton Pool outside of Austin. The water was super cold (but you got used to it after a bit). We saw lots of beautiful plants and cute little fresh water crabs along the pathway and near the pool. We actually got really lucky and arrived just as a bigger tour group was leaving so we mostly had the pool to ourselves.












After we were done enjoying Emerald Pool, we hopped back into the van and made our way back down to Roseau, the main town where the ship was docked (pronounced “Rose-Oh”). Then it was back up up up into the rainforest to Titou Gorge. If you’ve ever seen Pirate of the Caribbean 2: Dead Man’s Chest, the island where the native tribe thinks that Jack Sparrow is a god and then tries to roast him on a spit is Dominica and specifically there is a scene where all the pirates go through a sort of cave and this is Titou Gorge.

We all agreed after that Titou Gorge was a highlight of our entire trip (and none of the photos do it justice in the slightest). Jean-Marie got us all into some floats (Emmaline befriended a cat named Puss Puss while we waited for him to get the floats). Snorkeling floats or life jackets are required - the current is strong in places. Then he showed us where to go and we made our way into the cold water and into the gorge. It was so cool inside. Emmaline was a little hesitant to go in, but I reminded her of something Will Smith said in his recent show on National Geographic: he said that his grandma told him that some of the best things in life can be found on the other side of fear. So she nodded and went in. There were basically three different “rooms” inside the cave-like area. It’s not really a cave, because it’s slightly open on top with a little crack letting light in. In the third room at the very end was a waterfall. There was a strong current from the waterfall pushing into the middle room and Emmaline didn’t feel comfortable traversing it (she took her brace off for the swim into the gorge) so I waited outside with her and we just sort of peeked inside. Roger went in and checked it out and got some photos (none of which came out due to the water spray).
















There was a little food stand at the gorge so we got something to eat and Roger had one of the local beers that Jean-Marie had brought along. Emmaline and I had some cold water he had provided us from the same cooler. We left Titou Gorge and wound our way back to the Trafalgar area, which is where Jean-Marie said he lives. We asked him about his little tour company and he said he’s been driving a taxi around Dominica and giving tours for 30 years. It was his daughter who suggested setting up a website to pre-book passengers coming off a cruise ship and we were the very first website customers. Indeed, Jean-Marie seemed to know every other tour guide on the island that we passed by and his knowledge was vast. He clearly loves his island and enjoyed sharing it with us. This is just the perfect kind of private tour service that always makes for a stellar experience when we explore a new port of call.

The Trafalgar valley was beautiful and we stopped for a scenic overlook before going to the two falls that make up Trafalgar Falls. It was about a 10 minute walk to the falls from the parking area/ranger station building. Both Emerald Pool and Trafalgar Falls were located inside national parks which Jean-Marie covered the entrance fee for as part of our tour fee. The walk was fine for Emmaline’s ankle. It wasn’t paved, but it was a gravel pathway and she had no problem at any location (there was a guy on crutches at Emerald Pool which I wouldn’t have wanted to do, but it was doable). After we enjoyed the falls, Jean-Marie took us back into town and we parted ways with one of our top experiences of our trip.






We shopped a bit for our customary fridge magnet. We like to find unique magnets not made in China when we can, but everything was kind of the same tacky touristy stuff at each market stall we encountered so we settled for something and got back onboard around 3:00. We all made our way through the shower, started some laundry and grabbed some snacks from deck 11. The washing machines are tiny and there was only one that wasn’t in use in the room near us so we only ended up being able to do half our washing before it was time for the new Thor movie in the Walt Disney Theatre at 5:15.

Emmaline hasn’t seen many Marvel movies, just the first Guardians of the Galaxy, the two Ant Man movies, Captain Marvel and the new Ms. Marvel show on Disney+ but it seemed that the new Thor endeavored to be a standalone affair and told quite a bit of backstory throughout for those that didn’t have it. We all enjoyed it well enough. It wasn’t amazing, but it was fun and had some good moments in it.

After Thor we changed into our pirate costumes and took some pirate photos which didn’t turn out very well, unfortunately so no photos of our pirate outfits this time around. We opted not to attend the pirate deck party at 7:30 between the show and dinner and instead worked a bit on our scavenger hunt for the day before dinner. After dinner, we completed the hunt, turned it in and then went up to deck 12 to watch the 10:30 pirate show and fireworks. After that, we were pretty beat so we went to bed. We’re never hungry for the pirate buffet in Cabana’s, plus, for some reason, it seems to bring out the worst in people. I have no idea why. The fireworks were a perfect ending to a fantastic day.

 
Last edited:
Tuesday July 26 Antigua

This is the second of the two ports that we had been to previously (well, not counting Castaway Cay) and we were more than happy to return to this one. Last time through (January 2020), we had an incredible day with Adventure Antigua on their “Eco Tour” so I didn’t hesitate to go straight back to their website and see what other tours they offered. Their “Adventure Islands” tour looked great with minimal repetition so we booked it and recommended it to others on our Facebook meet group. We had so many people book it on my recommendation that they had to add another boat! I thought they actually handled the two boats of people really well (I had been worried we might be too many people).


We got up and got ready and met on the dock right on time. Like before, we sailed out around the island for about an hour and one of the three guides onboard pointed out different interesting things along the way. We arrived at Lavisount Island at around 10 AM where they have a rescue preserve for tortoises. They were super friendly giant tortoises that loved getting neck and shell rubs and were pretty excited about having carrot snacks. We had a lot of fun petting and feeding them before it was time for lunch. Just like a couple of years ago, we had a tasty lunch and we enjoyed it under a shade tree, just the three of us.










We left Laviscount and got back on the boat to go to Hell’s Gate Island. We had visited Hell’s Gate two years ago and knew that the trek to the top might be tricky for Emmaline with her ankle so I stayed down with Emmaline in the water snorkeling while Roger climbed up to the top.








We left Hell’s Gate and traveled a short way to our snorkeling spot near Great Bird Island (which we visited in 2020) and the other boat on the tour, who had gone to Laviscount with us, swapped places with us. That way there was only one boat of people in each spot. It was perfect. These guys are pros. Emmaline wanted to do the Advanced snorkeling path vs. the Beginner so I went with her. She wasn’t allowed to wear fins, as per the PT, so I went with her finless as well. There were only two others on the Advanced tour. We saw a big puffer fish (not puffed) and a ray and a bunch of other fish and coral. By the end, Emmaline said she was pretty tired after swimming and fighting some current. I could have swam all day, but it’s sort of my super power.

Then it was time for rum punch (for the adults) and banana bread. Their banana bread is particularly yummy and we lounged in the sun to dry off and warm up as the boat carried us back through that beautiful blue water to the dock in St. John, Antigua. We were back onboard around 3:00 and then it was time for another round of showers, laundry, and snacks. After she was cleaned up, Emmaline went off to work on the photo scavenger hunt for the day and Roger and I finished up that second round of laundry we weren’t able to do the day before. I organized some things about the room and made some notes for my trip report. Then, wouldn’t you know it, it was time for ice cream! When I first heard they were opening paid ice cream shops on the Dream and the Fantasy, I thought that was the dumbest thing ever. Why would you pay for ice cream when you can get soft serve for free pretty much anytime? Welp, it’s because it’s really good ice cream and gelato. It’s like buying a fancy coffee from Cove Cafe vs. getting drip coffee from the machine on deck. Major upgrade. Plus, Roger really likes that they have plant-based options.



Then it was time for the show in the Walt Disney Theatre, this time it was Charles Peachock who is a juggler we’ve seen before and he’s great. We were hoping for juggling lessons again like we had later in the cruise last time, but they didn’t do that. We were bummed. Some elements of his show were the same as what we had seen before, but it was still very enjoyable.

Between show and dinner, Roger and I went to the 18+ show that Buckets N Boards were putting on in The Tube. That was a lot of fun. I liked it better than their family show, actually. Emmaline went to Vibe while we were there. It’s actually funny, before the cruise when we told her she could go to either, she said she would probably stick mostly with Edge and not go to Vibe, but she probably split her time half and half equally. She liked Vibe a lot more than she thought that she would. She did say she felt that the counselors in Edge were more involved, but she liked the activities better in Vibe.



Then it was time for dinner and we were in Royal Court with a new menu we’d never had before, the “Vista” menu. No idea why it’s called that or why they served that one up, but it was actually pretty good. Apparently it used to be called “Taste of California” and it’s usually reserved for longer sailings. I really enjoyed the artichoke appetizer and I ordered both vegetarian entrees and both were really good. Slight edge to the mushroom ravioli. I’m a sucker for any kind of pasta thing with mushrooms involved. After dinner we were beat and went straight to bed. We ran into Peter Pan in the stairwell on the way to our room. This cruise had a lot more random interactions with characters just roaming around than any cruise we've been on in the past and it was a lot of fun.

 
Last edited:
Wednesday July 27 St. Thomas

I was excited for our first time in St. Thomas. We had a slightly later start this morning as our excursion was later in the morning. We took our time getting up and ate breakfast outside at Cabana’s. We got off the ship around 9:15 and easily found a taxi. The taxis in St. Thomas are huge open sided buses with benches across. We felt sort of silly just the three of us on this crazy taxi bus. It was about a 15 minute ride from the port to where we needed to meet for our excursion and we found our guide easily once we got there.

Our guide, Patrick, loaded us up into the back of his jeep and we set off, which was sort of sketch and scary, but we all lived. We arrived at our first stop, a beautiful little beach that wasn’t very busy at all. I looked it up on Google Maps when we got home and it’s called Brewer’s Bay Beach. First we walked around and he showed us some of the plant life around the area, both native and non-native. Next, we went fishing. For tarantulas. You take a little piece of grass and you put it inside the hole in the ground, tickle the spider, which attacks the grass, then you pull it out! Our guide got one and I almost got one. I saw the legs, but then it let go.





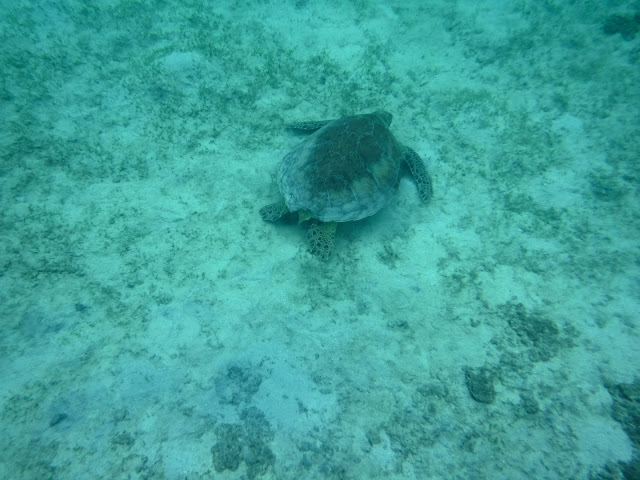
After spider fishing, we went into the water and snorkled around where we saw multiple rays, an octopus (but he was hiding so I didn’t get a photo) and several sea turtles! They were super cool to watch as they went along nibbling in the grass in the bay. Apparently they like to sleep under the runway at the airport which extends out into the water.










When we were done there, we hopped back into the Jeep and did some MEGA offroading (no way the route is passable with anything but a 4x4) to get down to a super secluded beach where we would go kayaking. First, we ate some sandwiches that they brought for us. They were okay at best. After lunch, we got a quick briefing on operating our kayaks and Emmaline went with our guide and Roger and I went together. I looked up the beach on Google Maps and it’s called Stumpy Bay Beach.






We kayaked around the bay and then out a little bit into the open water. Emmaline was a little scared out in the choppy open water, but it was a lot of fun and we enjoyed the kayaking. Roger and I ended up going over in the bay when a bigger wave hit us. We both got slightly banged and scraped on the rocks and he got sea urchin in his thumb.


Patrick took us back to the hotel we originally met at and helped us get a taxi to go back to the ship. Back on the crazy open air taxi bus thing, we were almost back to the ship when the driver stopped to pick up a whole giant group of people who squished and piled in. They had lanyards on from a Royal Caribbean ship that was also in port that day. St. Thomas has two ports and they are not super near each other (probably 10-15 minute drive apart). After those people piled in, the driver turned around and headed back the other way. Away from the Fantasy! We yelled and called out and the other people looked at us like we had grown two heads. Finally one of them understood what was happening. Some of the people on the taxi said, “we are all on a ship excursion! We don’t want to go the wrong way!” And so the driver just said, “I’m going to the other ship!” He seemed really confused and I’m pretty sure he forgot we were even on the taxi! He let us off there and we asked, “what are we supposed to do now?” He said, “walk or wait for another taxi.” The nerve! We ended up walking back to the ship and thankfully it wasn’t too far and he had dropped us off at a bus stop so there was a bench there that Emmaline could use to put her brace back on for the walk since she had not put it on after being on the beach since we knew she wouldn't be doing any walking. It was probably less than a ten minute walk but still. The whole thing was totally weird and many of the people from the Royal ship were actually pretty rude about it - as if we were imposing on them when really we were on the taxi first! I found a stock photo of the weird taxi since I didn't take one while there.



We stopped and shopped for our fridge magnet, again, not super happy with the choices, but we found something. Then it was time again for us to all cycle through the shower one at a time and I ran up and got some snacks from the pool deck and brought them back. We ate a lot of fruit from up there and I wondered how many watermelons they go through on a cruise.

After Emmaline was cleaned up, she went off to Vibe while Roger and I sort of had a chill rest of the afternoon. We rested and relaxed and I worked a little on my trip report. Then we ventured out and had a look at our photos in Shutters, grabbed a snack up by the pool and then went up to check out the wine list at Meridian. Emmaline ran into a wandering Daisy and snapped a photo on her way back to the room. Again, lots of characters out in the wild on this sailing.


We all regrouped in the room at 6:00 to get ready to head off to the show, which was the acapella group Moonshot, who I was prepared not to like, but actually enjoyed their show. After the show we finished up the scavenger hunt and then Roger and I tried to go to 90’s Music Trivia in O’Gills while Emmaine went to karaoke, but it was packed solid with people so we left. I joined Emmaline in karaoke while Roger went for a walk.

Dinner was in Animator’s Palate and was the animation show night. We all had fun making our characters and watching them come to life. This show is so much better than the Crush show! After dinner we were tired from another day out in the sun so we went back to the room and got ready for bed at a leisurely pace. I think we watched a little TV and rolled out with our travel foam roller (it folds up - it’s so great). We went to bed, noting that from this point forward, it was officially the longest we had ever been on a cruise ship.
 
Thursday July 28 - Sea Day

The last of our three sea days dawned sunny and beautiful. We really had fantastic weather the whole cruise. Roger and I were both up early at 7:00 which was unusual. Emmaline slept on and we slipped out to deck 4. It was busy, but didn’t seem quite as busy as the first two sea days. I did the same workout as before with my easy/sprint laps with some bodyweight strength in between. We finished up and went back to the room to retrieve Emmaline. While she took her sweet time getting up, Roger got showered and we all went to breakfast at Cabana’s. I showered after breakfast. Sorry to the people of Cabana’s.

On our way back from breakfast we stopped by the open house at the Oceaneer Club where Dr. Strange was meeting and then we checked out some of the new stuff that had been installed since Emmaline had been there. She was never a huge fan of the younger kid clubs. I think the age ranges were just too vast and it’s often really chaotic. She much prefers the tween and teen clubs.



We went back to the room and I showered and we all brushed our teeth. I did a little bit of packing up of stuff we weren’t going to need for the next couple of days and tidied up the room a bit before we set off to work on the scavenger hunt for the day which was crew uniforms. We didn’t need to do much - they were pretty easy to figure out just from memory, but we confirmed a couple.

After that, we dropped off a couple of pixie dust gifts we had to give since I had accidentally joined the pixie dust FE on our cruise group. (Long story.) Then Emmaline went off to Edge while Roger and I returned to the room. I worked on my trip report while Roger relaxed for a bit.

It seemed that all the activities we wanted to do for the day were right around the noon hour and kicked off with Chip It Golf in the atrium. We had never done this nor had we ever seen it so we set out with no clue what it was about. It was apparently about hitting a hollow plastic golf ball (wiffle ball style) covered in velcro onto a mat that looked like it belonged in a preschool. The mat had different point values in various areas. There were three rounds: normal play, negative play (some of the areas were negative and some were positive - this round reversed this) and double points. It was much much harder than it looked. Roger took second place (after a second place tie breaker) and won a keychain. Yay!



Then we went to D Lounge for Generation Quest which was a sort of game show where they had a team of adults and a team of kids and they would ask the kids questions the grown-ups would find easy and vice versa (for example, the adult had to answer a question about Instagram and the kids had to answer a question about who played the lead in Grease). Emmaline was picked as one of the contestants for the kids’ team and she did rather well.

Finally we had a moment for lunch, which was fine that it was late because we had a later breakfast and we have late dinner so it worked out. After lunch outside at Cabana’s, we went to The Tube for a towel folding class. We had a lot of fun making elephants, rabbits, monkeys and swans out of towels!





There weren’t many other activities on the schedule we were interested in so we went outside on deck 4 to try our hand at shuffleboard. Turns out, it’s harder than it looks. We were all terrible, but we had fun! After shuffleboard, we had some snacks and fancy coffee and then Emmaline and I went for one more karaoke session. I don’t remember what Roger did. Definitely not karaoke. We also ran into Pluto in the hallway near the movie theatre (which is on the way to our room so we always got to smell popcorn on the way to and from our room).




We returned to the room and got ourselves ready for semi-formal night before going to see the live musical production of Frozen in the Walt Disney Theatre. We’ve seen it before, but Emmaline wanted to go again. It was packed with people and hot and Roger gave up and left before Elsa decided to let it go.

After the show we met up again and Roger and I went to the 18+ show with Charles Peachock the juggler and Emmaline went down and took some photos in front of the backdrops then hung out in the room and watched TV. She really liked watching the ads for Adventures with Disney. She really wants to see the world!

Then it was time for dinner, back in Enchanted Garden and with the second rotational menu in that restaurant. And after dinner I stopped by Guest Services to pay the bill (up to that point) before we returned to the room to get ready for our final full day on board.
 
Thursday July 28 - Sea Day

The last of our three sea days dawned sunny and beautiful. We really had fantastic weather the whole cruise. Roger and I were both up early at 7:00 which was unusual. Emmaline slept on and we slipped out to deck 4. It was busy, but didn’t seem quite as busy as the first two sea days. I did the same workout as before with my easy/sprint laps with some bodyweight strength in between. We finished up and went back to the room to retrieve Emmaline. While she took her sweet time getting up, Roger got showered and we all went to breakfast at Cabana’s. I showered after breakfast. Sorry to the people of Cabana’s.

On our way back from breakfast we stopped by the open house at the Oceaneer Club where Dr. Strange was meeting and then we checked out some of the new stuff that had been installed since Emmaline had been there. She was never a huge fan of the younger kid clubs. I think the age ranges were just too vast and it’s often really chaotic. She much prefers the tween and teen clubs.



We went back to the room and I showered and we all brushed our teeth. I did a little bit of packing up of stuff we weren’t going to need for the next couple of days and tidied up the room a bit before we set off to work on the scavenger hunt for the day which was crew uniforms. We didn’t need to do much - they were pretty easy to figure out just from memory, but we confirmed a couple.

After that, we dropped off a couple of pixie dust gifts we had to give since I had accidentally joined the pixie dust FE on our cruise group. (Long story.) Then Emmaline went off to Edge while Roger and I returned to the room. I worked on my trip report while Roger relaxed for a bit.

It seemed that all the activities we wanted to do for the day were right around the noon hour and kicked off with Chip It Golf in the atrium. We had never done this nor had we ever seen it so we set out with no clue what it was about. It was apparently about hitting a hollow plastic golf ball (wiffle ball style) covered in velcro onto a mat that looked like it belonged in a preschool. The mat had different point values in various areas. There were three rounds: normal play, negative play (some of the areas were negative and some were positive - this round reversed this) and double points. It was much much harder than it looked. Roger took second place (after a second place tie breaker) and won a keychain. Yay!



Then we went to D Lounge for Generation Quest which was a sort of game show where they had a team of adults and a team of kids and they would ask the kids questions the grown-ups would find easy and vice versa (for example, the adult had to answer a question about Instagram and the kids had to answer a question about who played the lead in Grease). Emmaline was picked as one of the contestants for the kids’ team and she did rather well.

Finally we had a moment for lunch, which was fine that it was late because we had a later breakfast and we have late dinner so it worked out. After lunch outside at Cabana’s, we went to The Tube for a towel folding class. We had a lot of fun making elephants, rabbits, monkeys and swans out of towels!





There weren’t many other activities on the schedule we were interested in so we went outside on deck 4 to try our hand at shuffleboard. Turns out, it’s harder than it looks. We were all terrible, but we had fun! After shuffleboard, we had some snacks and fancy coffee and then Emmaline and I went for one more karaoke session. I don’t remember what Roger did. Definitely not karaoke. We also ran into Pluto in the hallway near the movie theatre (which is on the way to our room so we always got to smell popcorn on the way to and from our room).




We returned to the room and got ourselves ready for semi-formal night before going to see the live musical production of Frozen in the Walt Disney Theatre. We’ve seen it before, but Emmaline wanted to go again. It was packed with people and hot and Roger gave up and left before Elsa decided to let it go.

After the show we met up again and Roger and I went to the 18+ show with Charles Peachock the juggler and Emmaline went down and took some photos in front of the backdrops then hung out in the room and watched TV. She really liked watching the ads for Adventures with Disney. She really wants to see the world!

Then it was time for dinner, back in Enchanted Garden and with the second rotational menu in that restaurant. And after dinner I stopped by Guest Services to pay the bill (up to that point) before we returned to the room to get ready for our final full day on board.
Your daughter did very well in Generation Quest! She sang happy birthday to my son, opera style. 😊. Enjoying your trip report…so fun seeing someone else’s experiences on our trip.
 
Your daughter did very well in Generation Quest! She sang happy birthday to my son, opera style. 😊. Enjoying your trip report…so fun seeing someone else’s experiences on our trip.
Oh haha!! That was funny. She was like "I was so nervous!" I hope he had a great birthday!
 
Oh haha!! That was funny. She was like "I was so nervous!" I hope he had a great birthday!
He did, thank you! He wanted to kill me for calling it out. But I figured it would help the contestants to have someone to sing to! She did great!
 
Friday July 29 - Castaway Cay

We were originally scheduled for 9:30-4:45 at Castaway Cay, but then the night before they said we would arrive at 10 AM (with no explanation) but then we didn’t actually end up being cleared to get off the ship until 10:30 so they said we could stay ashore until 5:30. All the early excursions before 10:30 were canceled and that was that. (We didn’t have one of those excursions.)

It didn’t matter to us, this was our 5th time to CC (2014, 2015, 2017, 2022) and we aren’t as crazy about it as many are. (Blasphemy, I know.) So we woke up later than usual and had a leisurely breakfast. At 10:15 Emmaline and I went to Animation Class in D Lounge (drawing) and Roger watched some TV (he watched a lot of cricket). This was actually the first time we went to one of the animation classes on this sailing, which is funny because we did a ton of them back in November on the Wonder. We drew the Genie with a fair amount of success considering we were told he’s a more advanced character to draw.


After that we went back to the room and put on our running clothes (well, Emmaline didn’t because she can’t run with her ankle) and set off to do the CC5k. We decided to rent a bike for Emmaline so she could ride along with us as we ran since her ankle was mobile enough to do that.



We disembarked at 11:15 and waited forever for a tram. Then once we were on the tram, we waited forever just sitting there. It was the slowest tram transport we’ve ever dealt with at CC. We finally arrived at Pelican Point 45 minutes later (no joke). So we started the 5k at noon with Emmaline on the bike. After we finished (it was hot and I was on the struggle bus) we went over to Cookies. We didn’t want lunch on account of our late breakfast and being hot and tired from the run so we just ate some snacks.



We got back onboard the empty ship (pretty sure a tumbleweed rolled through the atrium) and Roger got cleaned up. Emmaline and I changed clothes and reapplied sunscreen to prepare for our parasailing excursion. We had a little time before that so I did a little more packing to prepare to leave the ship the following day.

At 2:00 Emmaline and I left for our excursion and checked in at Marge’s Barges. It started to sprinkle a little and a black cloud rolled in overhead as the winds picked up. At around 2:20 guy came over and announced the 2:30 parasailing (our timeslot) was canceled and likely all of the others for the rest of the day would be, too. He said that it was getting way too windy and conditions weren’t safe.

So we got back onboard and went up to deck 11 to eat…whatever meal it is that you eat at 3 PM in the afternoon. I had a veggie hot dog/sausage thing and it was really good. I like having an additional veg option at Flo’s.

Since it was pretty empty onboard, we decided to go on the Aquaduck a few times, then Emmaline did some swimming in the pool while Roger and I returned to the room and I showered. Emmaline came back to the room after a bit and changed to go to one last karaoke, which was sparsely attended on account of everyone still being on the island. While she was there, Roger and I began packing in earnest.

After Emmaline returned from karaoke, she decided she wanted to go see the show that evening, Believe. It’s a good show but we had just seen it the month before on the Dream and given how crowded Frozen was, Roger and I decided to skip and go play mini golf instead since we hadn’t done that yet. We arrived at 6 PM to find that mini golf closes at 6 PM. Lame.

Instead we finished the scavenger hunt for the day, which was brutally hard due to the fact that one of the photos taken earlier in the week was of a section of Animator’s that changes depending on the theme of the night so it didn’t look the same. Not sure if the person on the entertainment team didn’t realize that or if it was purposefully meant to be hard as nails.

We completed it and went back to the room where I worked a little on my trip report and Roger flipped through some TV and relaxed until Emmaline returned. We finished up our packing and organizing, which is a lot more complicated with 9 days worth of stuff to deal with so things got a little harried in the end.

Dinner our final night was Royal whatever (I can't keep straight which one is on the Dream and which is the Fantasy, I look it up and then just promptly forget again) and it was the second rotational menu for that restaurant and I’ll be honest, by this point, I was sort of done with cruise food and ready for something simple and uncomplicated. And maybe tacos or something.

We stayed overly long at dinner because our servers were awesome and we were chatting with them and also with the dining room manager who had a friend seated one table over from us. We had sort of inadvertently made her acquaintance earlier in the cruise when we had a problem with the app not showing the correct menu for one of the nights. We had asked our server (Jay from Jamaica who we’ve now had three times because of his aforementioned awesomeness) and he was like, “I dunno, let’s ask the dining room manager over there.”

So anyway, we sort of said hey and a couple of pleasantries from that point on and I thought she was the dining room manager, like managed THAT rotation or something, but I asked her more about her duties and it turns out she is the officer in charge of ALL the food on the ship. From Cabanas to Flo’s to the MDRs, all of it. Whoaaaaaaaa…. So we chatted with her a little bit and I told her I wanted chocolate chip cookies at Flo’s like they have at Daisy’s on the Classics. She told me to put it on the comment card. Well, I guess cookies on the pool deck are above her pay grade. She was super nice and we enjoyed getting to know her.

Roger and Emmaline returned to the room to put our luggage out and I had to wait in the stupid line at Guest Services because the app wasn’t showing me any appointment times available all day like I was able to get on the Dream the month before. I finished up dealing with some bill-related stuff and went back to the room and we all fell into bed with mixed feelings about our last night onboard.
 
Saturday July 30 - Disembarkation and Orlando

The theme for the morning ended up being “hurry up and wait.” The Fantasy pulled into Port Canaveral around 6:30 AM and the ship was cleared at around 7:30. We got ourselves up and dressed and finished packing the last of our things before one last meal with our wonderful servers.

We said goodbye and made a final bathroom break before heading for the gangway. We tapped our cards one last time, moved into the gangway and stopped. And waited. And waited. Then we saw someone being taken off in a stretcher from the medical center on deck 1 into a waiting ambulance. I hope they are okay. It seems that they had halted everyone until that was sorted out. They were probably trying to avoid any type of congestion outside the port until the ambulance was away. It was about a 20 minute wait (there was a surprising lack of urgency so that makes me hopeful that it wasn’t too terribly serious).

Finally we were moving again and retrieved our luggage and waited in a very long customs line. It moved at a fairly okay pace, but it was still a lot of waiting. Then we got outside and found the place where the rental car shuttle was going to pick up and there was a line and that meant more waiting. And waiting. And waiting. And finally the group in front of us decided to get on the Disney bus to the airport because they were only renting a car to drive directly to the airport which seemed like not the best option to me. Then the people in front of them decided to take a Lyft to the rental car place because it was taking too long so we started looking into a Lyft, but the app kept saying there really weren’t any cars and I kept waiting for it to match up and then the rental car bus arrived.

We barely got onto the rental shuttle and then we arrived at the car rental building and there was, you guessed it, a big line! So I went inside to wait while Roger and Emmaline waited outside. I went inside and it was hotter inside than out. Their A/C was out and the thermostat literally said it was 97 degrees inside (it was cooler than that outside). The people behind me were practically crawling up my backside and I made sure my KN95 was fitted properly and thought to myself, “this right here is where I catch Covid.”

We finally got a rental car and were on the road around 11:15 which was much later than we anticipated. We drove to Orlando and found some lunch and then went to the outlets to try to check out the Character Warehouse (said to be full of heavily discounted Disney merch). It was MOBBED. There were people and cars everywhere. Parking was non-existent and we knew that even if we could find a spot, the whole place would be teeming with people and we just weren’t feeling like we wanted to be around that many people so we skipped.

From there we drove about another hour out to Lakeland, Florida to visit the Florida Air Museum which houses the Air Show Hall of Fame. My father’s former squadron, the Red Baron Stearman Squadron, was inducted some years back. There is a Red Baron Stearman biplane hanging from the ceiling and my dad’s flight suit and helmet are on display alongside a photo and little blurb about him. There’s also a video that plays on a little screen in the exhibit. We spent some time looking around and chatted with a nice volunteer docent there. I told him about my dad’s book and he sounded excited to check it out. It was really cool to see, especially the fight suit, for some reason. I felt very emotional. But it felt like a really nice bookend to the recent celebration of life honoring my father.






We left there and made our way back to Orlando and checked into Bay Lake Tower. We sort of regrouped, unpacked what we would need and repacked things that we sort of hastily packed as a result of the way the cruise luggage system works.

Then we went over to the Contemporary for dinner at Steakhouse 71. Roger and Emmaline enjoyed steaks and I loved the plant-based vegetable Wellington. We were all stuffed so we decided to forgo dessert and went back to the room to regroup before trying to go up to the Top of the World to watch the fireworks over at Magic Kingdom. The system there is new and I wasn’t clear on how the whole thing works and we didn’t do it correctly so they wouldn’t let us up. We ended up watching them from the walkway between Contemporary and BLT, which actually wasn’t bad at all. They piped the music over and everything. (And “Happily Ever After” is still better. I said what I said.)

We went back to the room and got ready for bed while we waited for the Electrical Water Pageant to come by. (We had a Lake View room.) Roger agreed with Emmaline and my assessment that it’s cheesy but nostalgic. We finished packing for our flight home in the morning and then went to bed.
 
We were on this cruise as well. I really enjoyed this trip report and wanted to say thank you for putting it together. Glad you all had a good time!

I asked my son (12) if he remembered your daughter from Edge. I thought she might have made an impression given her brace and the fact that my son was in a wheel chair due to a broken heel. Alas, he did not recall her.
 
Final Thoughts



@ironz warned me that longer cruises can turn out to be addictive and asked me if we felt like that was the case. I have to say, honestly, I’m not sure that’s going to be the case for us. We really were ready to get back to our home, cats, normal eating, and our own beds by the end. It was a great trip and we had a great time, but I didn’t find I liked it way way more than a 7-night. I actually feel like a 7-night is just about perfect.

Now, we do have a 10-night booked for next year and we had a discussion about that. I think it will be fine, but I’m not sure I could do something like a transatlantic or longer Panama Canal cruise. I miss stuff like tacos and my cats. I think the other thing that played into this feeling was the fact that we had four port days in a row which was pretty intense. I think next year it will help that our schedule is a little more broken up. The max we have in a row is three port days.

Things I did like about the longer cruise were getting to know some of the members of the crew a little better and seeing some of the same people multiple times. We had a routine and we didn’t feel rushed to see something on the ship or do an activity because the chances were that we would have another opportunity.

In terms of the Fantasy itself, I think we’ve gotten used to the bigger ships, but I will say I do prefer the Classics still and I wish we were going to be on the Magic next summer as that’s my favorite of the DCL ships we’ve been on (which is all but the newest).

Our room was amazing, our servers were amazing, but unfortunately, our stateroom host was not amazing. I don’t know if he was new or what, but we had multiple issues with him and it was really frustrating. We had never had any issues in this realm before so it was a little baffling. I think I mentioned this was our third time with our server and it was so fun to see him again and we had a great nine nights with his service.

We do love the Southern itineraries and wish DCL did them more, but it is a haul. It took us two days just to get to our first port. Leaving from San Juan, PR like we did the previous two times helps, but getting there is also a bit of a chore as it tends to be expensive and most flights have to change through Miami.

Next up we have the Wish and then after that, we’re going to take the 10-night France, Iceland, and Norway next summer, assuming things are a little more normal and we feel better about traveling in Europe. We just don’t want to take the chance of being stuck so far from home and having to quarantine. If worse had come to worse, we would have had to drive home (multiple families did end up having to do this on our sailing) but from Europe, that just isn’t an option. And I dread taking a flight all the way over there only to be denied boarding due to a positive test. Just so many things. So we are crossing all our fingers that cases settle down for next summer and we can make it work.

After that, we might take a cruising break. I say this, but the last time I said that was right after our first cruise and we’ve literally taken a cruise every single year since then. Even with the pandemic, we ended up sailing January 2020, just before and then we started back up again November 2021. But we’re hoping for a big Hawaii trip (goal 2024) and then who knows! Emmaline apparently has quite a list after watching all those Adventures by Disney commercials on the stateroom TV.
 
Thank you so much for taking the time to share your experience on the Fantasy. It certainly helps to read of other cruiser's experiences while on a countdown for our cruise.
 



GET UP TO A $1000 SHIPBOARD CREDIT AND AN EXCLUSIVE GIFT!

If you make your Disney Cruise Line reservation with Dreams Unlimited Travel you’ll receive these incredible shipboard credits to spend on your cruise!







Receive up to $1,000 in Onboard Credit and a Gift Basket!
That’s right — when you book your Disney Cruise with Dreams Unlimited Travel, you’ll receive incredible shipboard credits to spend during your vacation!
CLICK HERE


New Posts



DIS Facebook DIS youtube DIS Instagram DIS Pinterest DIS Tiktok DIS Twitter DIS Bluesky

Back
Top Bottom